






.webp&w=640&q=75)





















Loading banners


NEWS EXPRESS is Nigeria’s leading online newspaper. Published by Africa’s international award-winning journalist, Mr. Isaac Umunna, NEWS EXPRESS is Nigeria’s first truly professional online daily newspaper. It is published from Lagos, Nigeria’s economic and media hub, and has a provision for occasional special print editions. Thanks to our vast network of sources and dedicated team of professional journalists and contributors spread across Nigeria and overseas, NEWS EXPRESS has become synonymous with newsbreaks and exclusive stories from around the world.

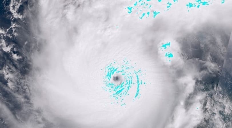
Satellite image of pinhole eye of Hurricane Milton over the Gulf of Mexico
Storm-battered Florida girded Tuesday for a direct hit from Hurricane Milton, a monster weather system threatening catastrophic damage and forcing President Joe Biden to postpone an overseas trip.
As the second huge hurricane in as many weeks rumbled toward the US state?s west coast, a sense of looming catastrophe spread as people raced to board up homes and flee.
?It?s a matter of life and death, and that?s not hyperbole,? President Joe Biden said, urging those under orders to vacate to ?evacuate now, now, now.?
Biden?s warning came amid a bitter pre-election quarrel, with his Democratic vice president Kamala Harris castigating her rival Donald Trump for peddling false claims that recovery efforts after the first storm, Hurricane Helene, were diverted away from Republicans.
As of Tuesday morning, Milton was generating maximum sustained winds of 150 mph (240 kph) and threatening up to 15 feet of storm surge, the National Hurricane Center said, as it tracked just north of Mexico?s Yucatan peninsula.
After weakening from a maximum Category 5 overnight, it is forecast to make landfall Wednesday night in Florida as a Category 3 storm and remain powerful as it churns across the state.
Governor Ron Santis, at a press conference, ticked off town after town and county after county that are in danger.
?Basically the entire peninsula portion of Florida is under some type of either a watch or a warning,? he said.
The National Weather Service said Milton could be the worst storm to hit the Tampa area, home to some three million people, in more than 100 years.
?Helene was a wake-up call. This is literally catastrophic,? Mayor Jane Castor said on CNN.
Hurricane expert Michael Lowry warned that ?Milton?s storm surge ?could double the storm surge levels observed two weeks ago during Helene, which brought some of the most consequential flooding the area has seen in recent memory.?
A campaign issue
Biden postponed a major trip to Germany and Angola ? he had been due to leave Thursday ? to oversee the federal response, as storm relief efforts have emerged as a political battleground ahead of the presidential election on November 5.
Trump has tapped into frustration about the emergency response after Hurricane Helene and fueled it with disinformation, falsely claiming that disaster money had been spent instead on migrants.
Biden slammed Trump?s comments as ?un-American,? and Harris called the claims the ?height of irresponsibility and frankly callousness.?
?I fear that he really lacks empathy on a very basic level,? she said.
In a scene of frantic preparation repeated all over Florida, dozens of cars lined up at a sports facility in Tampa to pick up sandbags to protect their homes from flooding.
John Gomez, 75, ignored official advice and traveled all the way from Chicago to try to save a second house he has in Florida.
?I think it?s better to be here in case something happens,? Gomez said as he waited in line.
Scientists say global warming has a role in these intense storms as warmer ocean surfaces release more water vapor, providing additional energy for storms, which intensifies their winds.
Communities hit by the deadly Hurricane Helene, which slammed Florida late last month, have rushed to remove debris that could become dangerous projectiles as Milton approaches.
In Mexico?s Yucatan, workers boarded up glass doors and windows, fishermen hauled boats ashore and schools were suspended.
In the southeastern United States, emergency workers are still struggling to provide relief after Helene, which killed at least 230 people across several states.
It hit the Florida coastline on September 26 as a major Category 4 hurricane, causing massive flooding in remote inland towns in states further north, including North Carolina and Tennessee.
Helene was the deadliest natural disaster to hit the US mainland since 2005?s Hurricane Katrina, with the death toll still rising. (AFP)